• World News
  • Politics
  • Economy
  • Stock
  • Editor’s Pick
Global Trading Markets
Politics

WATCH LIVE: Hurricane Melissa Makes Landfall in Jamaica as a Monster Category 5 Storm (STORM CHASER VIDEOS)

by October 28, 2025
October 28, 2025

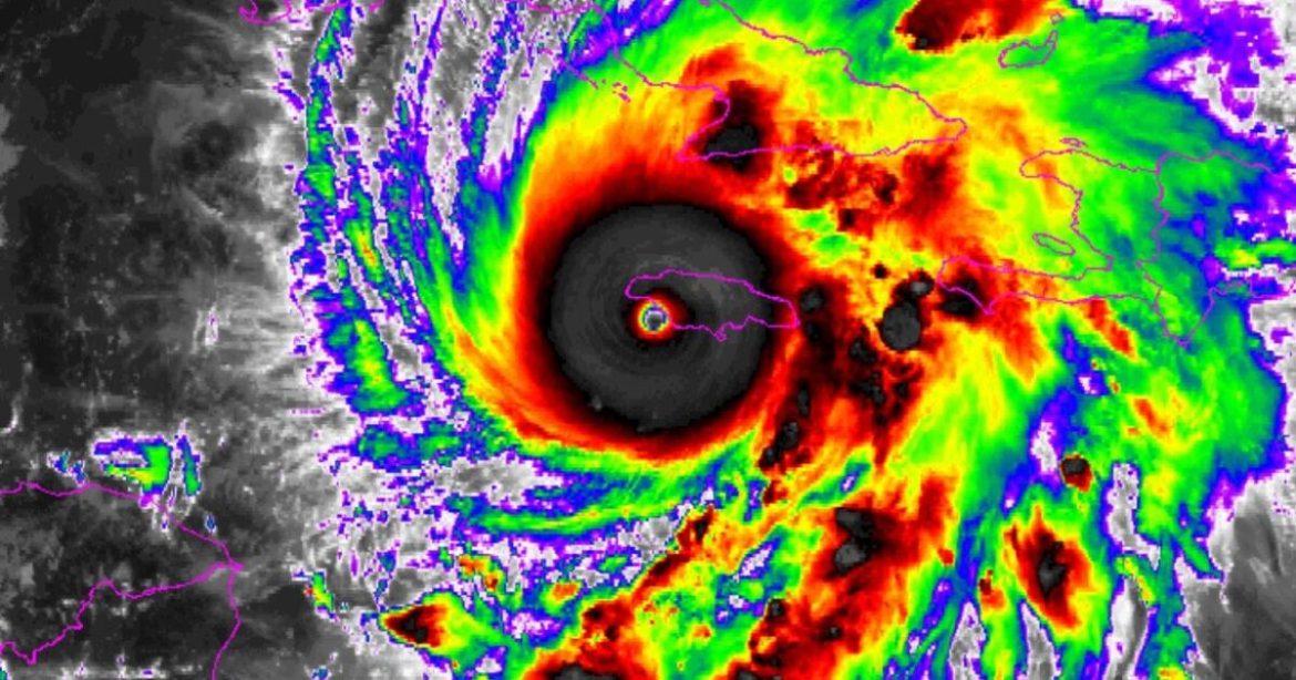
Satellite image of a powerful hurricane approaching Cuba, showcasing vivid colors and swirling clouds indicative of severe weather conditions.

Hurricane Melissa made landfall in Jamaica as a monster Category 5 storm on Tuesday.

Montego Bay is taking a direct hit with the record-breaking storm packing 185 mph winds.

Multiple deaths have been reported so far.

Satellite images show a very defined eye.

Satellite image of a powerful hurricane approaching Cuba, showcasing vivid colors and swirling clouds indicative of severe weather conditions.
Hurricane Melissa makes landfall in Jamaica as category 5 storm / satellite image

The cone shows that Hurricane Melissa will likely turn east and avoid the United States.

Hurricane Melissa forecast map showing projected path, current location, wind speeds, and advisory details from the National Hurricane Center, updated October 28, 2025.
Hurricane Melissa cone

AccuWeather reported:

The most powerful Atlantic hurricane of 2025 has plowed into Jamaica after days of unleashing heavy rain, strong winds and pounding surf across the Caribbean. The Category 5 storm was at peak strength when it roared ashore on Tuesday.

Melissa made landfall near New Hope, Jamaica, at 1 p.m. EDT Tuesday as a Category 5 hurricane with maximum sustained winds of 185 mph. It was the first time an Atlantic storm made landfall as a Category 5 since Hurricane Dorian in 2019.

At least seven fatalities have already been reported across the Caribbean due to the monstrous hurricane, which has been slowly tracking near Haiti, the Dominican Republic and Jamaica for days. The death toll is likely to rise as Melissa sweeps across Jamaica, eastern Cuba and the Bahamas.

“There is no infrastructure in the region that can withstand a Category 5,” Prime Minister Andrew Holness said, according to The Associated Press. “The question now is the speed of recovery. That’s the challenge.”

Storm chaser videos:

Via AccuWeather:

Live camera of Montego Bay, Jamaica:

LIVE CAM: The eye of Hurricane Melissa is approaching Montego Bay. We will be there LIVE as it happens. https://t.co/vf9ckNXG1z

— Off The Press (@OffThePress1) October 28, 2025

More:

The post WATCH LIVE: Hurricane Melissa Makes Landfall in Jamaica as a Monster Category 5 Storm (STORM CHASER VIDEOS) appeared first on The Gateway Pundit.

previous post
Hard-Liner Prince William Reportedly Threatened Royal Future of Princesses Beatrice and Eugenie To Get Their Father Andrew to Leave 30-Room Royal Lodge
next post
DISGUSTING: Democrat Sen. Chris Coons ADMITS Denying Americans Their SNAP Benefits Is “Unpleasant” But “Worth It” Because It Gives Democrats Political “Leverage”

You may also like

ANN COULTER: ‘It Didn’t Occur to Democrats That...

November 21, 2025

Biden’s Legacy: Illegal Driving 18-Wheeler Allegedly Killed National...

November 21, 2025

LIBERAL BOOMERANG: Treasury Secretary to Clinton, Larry Summers...

November 21, 2025

Alice Weidel criticizes Von der Leyen’s totalitarian “Chat...

November 21, 2025

U.S. Military Demonstrates Its Capability to Deploy to...

November 21, 2025

Victor Reacts: The Left Is Responsible For Attacks...

November 21, 2025

Colombia Supports Transition Proposal With Venezuelan Dictator Maduro...

November 21, 2025

NEW: The New 28-Point Peace Plan for the...

November 21, 2025

Senator Van Hollen’s “Maryland Mom” Claim Omits Criminal...

November 21, 2025

US Army Secretary Driscoll in Kiev to Pressure...

November 20, 2025

    Fill Out & Get More Relevant News


    Stay ahead of the market and unlock exclusive trading insights & timely news. We value your privacy - your information is secure, and you can unsubscribe anytime. Gain an edge with hand-picked trading opportunities, stay informed with market-moving updates, and learn from expert tips & strategies.

    Recent Posts

    • ANN COULTER: ‘It Didn’t Occur to Democrats That at Some Point, Third Worlders Would Want to Vote for Their Own’ (AUDIO)

      November 21, 2025
    • Biden’s Legacy: Illegal Driving 18-Wheeler Allegedly Killed National Guardsman, 23, in Another Needless Wreck

      November 21, 2025
    • LIBERAL BOOMERANG: Treasury Secretary to Clinton, Larry Summers Steps Down from Teaching at Harvard as University Investigates His Emails with Jeffrey Epstein

      November 21, 2025
    • Alice Weidel criticizes Von der Leyen’s totalitarian “Chat Control” plan

      November 21, 2025
    • U.S. Military Demonstrates Its Capability to Deploy to Bases and Address Rampant Drone Intrusions

      November 21, 2025
    Footer Logo
    • Privacy Policy
    • Terms & Conditions

    Copyright © 2024 GlobalTradingMarkets.com All Rights Reserved.

    Global Trading Markets
    • World News
    • Politics
    • Economy
    • Stock
    • Editor’s Pick